Vermessungen
Unter Vermessung „im Allgemeinen“, auch als Geodäsie bezeichnet, versteht man die Erfassung von tatsächlichen und rechtlichen Bestandteilen von Teilen der Erdoberfläche mittels messtechnischer Verfahren.
Die Vermessung „im Speziellen“ ist meist auf einen konkreten Auftragszweck abgestimmt, wie zum Beispiel die Bestimmung von Grenzen, der Messung von Gebäuden oder der Bestimmung der Topographie von einzelnen Grundstücken.
Der Bereich der Vermessung, den wir für Sie leisten, lässt sich dabei grundsätzlich in zwei Kategorien einteilen: die
hoheitliche Vermessung
und die
Ingenieurvermessung.
Hoheitliche Vermessungen
Als öffentlich bestellte Vermessungsingenieure sind wir, aufgrund der Zulassung durch die Landesregierung NRW, dazu befugt hoheitliche Vermessungen durchzuführen.
Im Einzelnen sind dies:
- Amtlicher Lageplan
- Baulastplan
- Gebäudeeinmessung
- Amtliche Grenzanzeige
- Grenzvermessung
- Teilungsvermessung / Grundstücksteilung
- Sonderung
- Auskunft aus dem Liegenschaftskataster
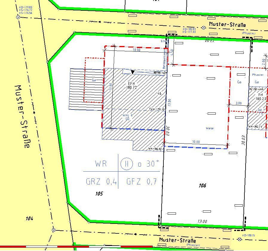
Bei der Planung Ihres Bauvorhabens und zur Abgabe des Bauantrags bei der Baubehörde benötigen Sie einen Lageplan zum Bauantrag entsprechend der Bauprüfverordnung (BauPrüfVO NRW).
Der Lageplan wird auf der Grundlage amtlicher Katasterunterlagen, eigener Vermessungen des Baugrundstücks sowie der näheren Umgebung, und durch die Einarbeitung bestehender baurechtlicher Vorgaben erstellt. Der Lageplan stellt also ein Abbild der Örtlichkeit dar und gibt Ihnen und Ihrem Architekten die Möglichkeit, unter Beachtung des baulich Machbaren und des rechtlich Zulässigen, Ihre Planungen festzulegen.
Steht die Planung fest, wird anhand der Bauzeichnungen Ihres Architekten / Bauingenieurs das Projekt in den Lageplan eingetragen. Zusammen mit der Höhenfestlegung, den daraus resultierenden Abstandsflächen und der Ermittlung und Eintragung der Grundstücksausnutzung (GRZ, GFZ) sowie der Eintragung der geplanten Entwässerung erhält der Lageplan seine endgültige Fassung und wird als wesentlicher Bestandteil des Bauantrags beim Bauamt eingereicht.
Gemäß der Verordnung über bautechnische Prüfungen (§ 3 Absatz 3 Nr. 1-4 BauPrüfVO NRW) muss der Lageplan von einem Öffentlich bestellten Vermessungsingenieur angefertigt und mit öffentlichen Glauben beurkundet werden, wenn:
- die Grenzen des Baugrundstücks nicht festgestellt sind
- für die Grenzpunkte Koordinaten in einem einheitlichen System nicht ermittelt werden können
- eine Grenzüberbauung vorliegt
- oder auf dem Baugrundstück bzw. auf angrenzenden Grundstücken Baulasten ruhen.
Da es sich beim amtlichen Lageplan um ein hoheitliches Produkt handelt, welches mit öffentlichem Glauben beurkundet wird, muss die Abrechnung zwingend nach der Vermessungsgebührenordnung NRW erfolgen.
Liegen keine der vier oben stehenden Bedingungen vor, kann auch ein einfacher Lageplan zum Bauantrag erstellt werden, der in der Regel eine kostengünstige Variante darstellt.
Baulastplan
Eine Baulast ist immer dann erforderlich, wenn das geplante Bauvorhaben auf dem Baugrundstück selbst nicht baurechtskonform hergestellt werden kann und ein oder mehrere andere Grundstücke zusätzlich zur Herstellung der Genehmigungsfähigkeit herangezogen werden müssen.
Eine Baulast ist eine öffentlich-rechtliche Verpflichtung eines Grundstückseigentümers / Erbbauberechtigten gegenüber der Baubehörde, bestimmte das Grundstück betreffende Dinge zu tun, zu unterlassen oder zu dulden.
Über die Baulasten wird bei den Baubehörden ein Baulastenverzeichnis geführt.
Bei Baulastplänen nach § 18 BauPrüfVO NRW handelt es sich in der Regel um eine Weiterverwendung des amtlichen Lageplans zum Bauantrag (§ 3 BauPrüfVO NRW). Hierbei werden die geforderten Baulasten (z.B. Vereinigungs-, Abstandsflächenbaulast, etc.), kenntlich gemacht und dienen der Behörde zur Eintragung der Baulast in das Baulastverzeichnis.
Gebäudeeinmessung
In Nordrhein-Westfalen sind Grundstückseigentümer gemäß § 16 des Vermessungs- und Katastergesetzes (VermKatG NRW) verpflichtet, ihre neu errichteten oder im Grundriss veränderten Gebäude einmessen zu lassen. Dies gilt auch, wenn Sie ein noch nicht eingemessenes Gebäude, welchen nach 1972 errichtet wurde gekauft, ersteigert oder geerbt haben. Als Eigentümer müssen Sie daher dafür Sorge tragen, dass Ihr Gebäude eingemessen und in dem Katasteramt zur Übernahme eingereicht wird.
Haben Sie uns den Auftrag zur Gebäudeeinmessung erteilt, beantragen wir die nötigen Unterlagen beim Katasteramt und führen die entsprechende Vermessung durch. In der Örtlichkeit werden die Ecken des Gebäudes erfasst und somit dessen Lage auf dem Grundstück bestimmt.
Anschließend reichen wir die Messergebnisse, Berechnungen sowie den Fortführungsriss beim zuständigen Katasteramt ein, damit das Gebäude in das Liegenschaftskataster übernommen werden kann. In der Regel erhalten Sie abschließend einen Auszug aus der Liegenschaftskarte, auf dem das eingemessene Gebäude enthalten ist.
Amtliche Grenzanzeige
Jeder Grundstückseigentümer hat Interesse daran, die örtliche Lage seiner Grenzen und Grenzzeichen zu kennen. Ein typisches Einsatzgebiet für eine Grenzanzeige ist das Errichten von Einfriedungen, wie z.B. Zäune, Mauern oder Kantsteine. Ist Ihnen und Ihrem Nachbarn der Verlauf der Grenze unklar, kann die Amtliche Grenzanzeige hilfreich sein.
Bei der amtlichen Grenzanzeige wird in der Örtlichkeit der Verlauf der Grundstücksgrenze angezeigt. Ziel ist eine verbindliche und rechtssichere Aussage zur Lage der Grundstücksgrenzen gemäß des Liegenschaftskatasters zu treffen, zu dokumentieren und öffentlich zu beurkunden.
Alle hergestellten Grenzpunkte (Anfangs- und Endpunkte der Grundstücksgrenzen) werden mit einem Holzpflock bzw. Farbmarkierung gut sichtbar gemacht und dem Antragsteller in Rahmen der Messung angezeigt.
Fehlende Grenzzeichen werden bei einer amtlichen Grenzanzeige nicht ersetzt und fehlerhafte Grenzzeichen nicht korrigiert.
Grenzvermessung
Sie sind Grundstückseigentümer und haben Streitigkeiten mit Ihrem Nachbarn über den Verlauf der Grenze oder möchten aus Gründen der Rechtssicherheit den Verlauf Ihrer Grundstückgrenze abgemarkt, beurkundet und mit den Nachbareigentümern verhandelt haben? Dann ist die Grenzvermessung das richtige Instrument. (Eine Grenzvermessung kann in solchen Fällen Gewissheit bringen.)
Bei der Grenzvermessung werden zunächst die Grundstücksgrenzen vor Ort untersucht und mit den maßgeblichen Unterlagen des Liegenschaftskatasters verglichen. Abweichungen, die auf willkürliche Veränderungen der Grenzzeichen zurückzuführen sind, werden berichtigt, beschädigte oder fehlende Grenzzeichen werden erneuert.
Nach Abschluss der Vermessung wird bei einem Grenztermin mit den Nachbareigentümern vor Ort das Ergebnis der Vermessung durch Aufnahme einer Grenzniederschrift beurkundet. Die Beteiligten, die an diesem Termin nicht teilnehmen können, werden schriftlich über das Ergebnis benachrichtigt. Im Anschluss an den Grenztermin werden die Vermessungsschriften angefertigt und diese zur Übernahme in das Liegenschaftskataster beim zuständigen Katasteramt eingereicht.
Teilvermessung / Grundstücksteilung
Bei einer Grundstücksteilung wird ein bestehendes Flurstück gemäß Ihrer Vorgabe in zwei oder mehrere neue Flurstücke zerlegt, um zum Beispiel ein Teilstück zu veräußern/ erwerben oder um die Grundstücksteile unterschiedlich zu belasten. Bei dieser Art der Vermessung werden vor Ort zunächst die Umringsgrenzen des zu teilenden Grundstücks im notwendigen Umfang untersucht und die Messergebnisse mit dem Nachweis im Liegenschaftskataster verglichen. Fehlende und nicht richtig stehende Grenzzeichen werden erneuert und die neuen Grenzen gemäß der Vorgaben in die Örtlichkeit übertragen und mit Grenzzeichen abgemarkt. Anschließend wird die Vermessung in unserem Büro innendienstlich ausgewertet und alle Beteiligte werden zu einem Grenztermin eingeladen.
Bei dem Grenztermin wird das Ergebnis der Vermessung durch Aufnahme einer Grenzniederschrift beurkundet. Die Beteiligten, die an diesem Termin nicht teilnehmen können, werden anschließend schriftlich über das Ergebnis der Urkunde benachrichtigt.
Im Anschluss an den Grenztermin werden die Vermessungsschriften zur Übernahme beim zuständigen Katasteramt eingereicht.
Nach Prüfung und Übernahme der eingereichten Messungsschriften stellt das Katasteramt den sog. Veränderungsnachweis (auch Auflassungsschriften genannt) aus, in dem die Veränderung mit den neuen Flurstücknummern und den neuen Flächen nachgewiesen wird. Der Veränderungsnachweis bzw. die Auflassungsschriften bilden dann für den Notar die Grundlage zur Eigentumsumschreibung.
Zur Teilung von bebauten Grundstücken ist zusätzlich eine Genehmigung der Bauaufsichtsbehörde nach § 7 der Landesbauordnung NRW (BauO NRW) erforderlich, um eine Entstehung von baurechtswidrigen Zuständen zu vermeiden.
Wir beraten Sie gern und erstellen mit Ihnen zusammen einen Teilungsplan, der den jeweiligen bauplanungs- und bauordnungsrechtlichen Erfordernissen entspricht.
Sonderung
Die Sonderung stellt eine Sonderform der Teilungsvermessung dar, bei der ein Grundstück ohne örtliche Vermessung geteilt werden darf. Voraussetzung hierfür ist, dass die neue Grenze zwischen zwei alten, bereits früher abgemarkten Grenzpunkten verläuft und somit die Bestimmung der neuen Grundstücksgrenzen und die Flächenberechnung genau und zuverlässig erfolgen kann (Koordinatenkataster). Ob eine Sonderung in Frage kommt, muss in jedem Einzelfall individuell entschieden werden.
Auskunft aus dem Liegenschaftskataster
Das Liegenschaftskataster ist das amtliche Verzeichnis, nach dem die Grundstücke im Grundbuch benannt werden.
Das Liegenschaftskataster bildet alle Liegenschaften (Flurstücke und Gebäude) mit ihren Grenzen nach Lage, Größe und geometrischer Form ab.
Behörden oder öffentlich bestellte Vermessungsingenieure sind dazu befugt, Auszüge aus dem Liegenschaftskataster wie beispielsweise Vermessungsrisse herauszugeben. Diese werden nach der Gebührenordnung abgerechnet und können bei Interesse bei uns angefordert werden.


















